整形外科の症例 人工股関節手術(THR)脛骨高台部水平化術(TPLO)股関節形不全症(CHD)前十字靱帯断裂(ACLR)膝蓋骨内方、外方脱臼
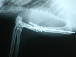
猫の上腕骨骨折の再手術
●65
1)この症例は猫の上腕骨の骨折です。
2)ピンとワイヤーで固定されていますが、ピンの挿入が不充分です。
3)3日後にピンが抜け再骨折し他院より転院した症例です。
4)全てのピンとワイヤーは抜去され、プレート固定が施され、1カ月後には完治しました。
股関節形成不全症(CHD)の外科治療
前十字靭帯急性および慢性断裂症例(ACLR)の動画とそのX線所見
前十字靭帯断裂の治療法の一部としての脛骨高台部水平化術(TPLO)
前十字靭帯断裂の治療法の一部としての人工の靭帯を使用した関節外固定術
膝蓋骨脱臼が原因でのACLRの治療法の一部としての関節外固定術
正常な膝関節の正面および側面X線およびCT画像
重度の膝蓋骨内方脱臼の歩様画像とX線所見
小型犬の基本的な膝蓋骨内方脱臼症の外科治療
犬の重度の膝蓋骨内方脱臼症の外科治療
幼犬の重度の膝蓋骨内方脱臼症の外科治療
猫の膝蓋骨脱臼症
大型犬の重度の膝蓋骨外方脱臼症の外科治療
トイプードルの重度の膝蓋骨外方脱臼症の外科治療
肩甲骨脱臼症の外科治療
中足骨の骨折の外科治療
K-ワイヤーを使用しての橈骨遠位部の骨折の外科治療
左右の橈骨尺骨の骨折の外科治療
超大型犬の橈骨尺骨の骨折の外科治療
6か月齢のパピオンの橈骨遠位成長板の骨折の外科治療
ロッキング コンプレッション プレートを使用しての
橈骨尺骨遠位の骨折の外科治療
ダックスフンドの骨盤および脛骨骨折の外科治療
幼犬の脛骨遠位成長板の骨折の外科治療
脛骨、腓骨の粉砕骨折の外科治療
困難を極めた犬の難治性の脛骨、腓骨骨折の外科治療
治療に頑固に抵抗した猫の難治性の脛骨、腓骨骨折の外科治療
猫の交通事故による両側大腿骨骨折の外科治療
コーギーの大腿骨遠位の複雑骨折の外科治療
治療に頑固に抵抗したトイ プードルの難治性の大腿骨骨折の外科治療
猫の上腕骨骨折の再手術
6か月齢の柴犬の肩甲骨と上腕骨近位成長版の骨折の外科治療
犬の撓側手根骨の脱臼の外科治療
頸部椎間板ヘルニアの外科治療
胸部椎間板ヘルニアの外科治療
馬尾神経症(CES)の外科治療
ビーグル犬の多発性の椎間板ヘルニア
犬の会陰ヘルニアの外科治療
トップへ戻る▲